Karhutorpanpolku 11 A
Karhusaari, Helsinki | Omakotitalotontti
Velaton hinta
Koko
Tervetuloa yhdelle Helsingin upeimmista merenrantatonteista, joka tarjoaa mahdollisuuden rakentaa unelmiesi koti ainutlaatuisin merinäkymin.
Määräosa tarjoaa ihanteelliset puitteet omakotitalolle, josta avautuvat väkevät ja ainutlaatuiset näkymät suoraan merelle. Voit hengähtää omassa rauhassasi ja nauttia luonnon tuomasta rauhasta, samalla kun Helsingistä löytyy kaikki tarvitsemasi mukavuudet. Tämä on tilaisuus suunnitella koti, joka on suunniteltu vastaamaan juuri sinun tarpeitasi ja mieltymyksiäsi. Myytävä tontti mahdollistaa persoonalliset ja näyttävät sisätilaratkaisut, jotka tekevät arjesta juhlaa.
Tämä ainutlaatuinen omakotitalotontti tarjoaa mahdollisuuden suunnitella juuri omien tarpeidesi ja mieltymystesi mukainen koti. Voit toteuttaa omia asumisen unelmiasi tai hyödyntää valmiiksi suunniteltua talomallia, joka on räätälöity täydellisesti ympäröivään maisemaan. Tässä kohteessa voit todella päästää mielikuvituksesi valloilleen ja toteuttaa henkilökohtaisen visiosi.
Valmiin luonnossuunnitelman ideana on moduulirakenteinen valmistalopakettina toteutettava omakotitalo, jonka runkovaihtoehdon voit valita oman mieltymyksesi mukaan. Lisäksi talon pohjaratkaisukonseptissa on useita vaihtoehtoja, joista voit suunnitella itsellesi parhaiten toimivan kokonaisuuden ja rakentaa koti jo valmiiksi pyydettyjen "avaimet käteen" talopakettitarjousten avulla.
Karhutorpanpolun ainutlaatuinen sijainti yhdistää rauhallisen asuinalueen ja Helsingin palvelut.
Alueella on toimivat peruspalvelut, laadukkaat koulut sekä hyvät kulkuyhteydet Helsingin keskustaan. Tämä onkin ainutlaatuinen tilaisuus yhdistää luonnonläheinen asuminen ja kaupungin syke. Älä odota, vaan tutustu tähän upeaan kohteeseen ja anna unelmiesi kodin rantautua Karhutorpanpolulle!
Rakenna tänne toiveidesi mukainen koti, jossa laadukas elämänlaatu ja mukavuus yhdistyvät saumattomasti.
Tule paikan päälle ja ihastu tähän hurmaavaan merenrantatonttiin!
Myynti ja lisätiedot:
Katja Lampinen
Kiinteistönvälittäjä LKV, partner
Bo LKV Helsinki, Kruununhaka
p. 044 2433 744 I katja@bo.fi
Are you interested in this estate?
Contact us or leave a message
Katja Lampinen
kiinteistönvälittäjä LKV, partner
Property information
- Ostaja hakee tarvittavan määrän omia kiinnityksiä (panttikirjoja)
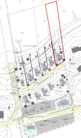
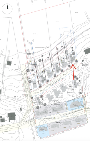
Tontille myönnetty poikkeamispäätös pientalon rakentamiselle.
Additional information
Talosta on jo jätetty rakennuslupahakemus.
Rakennusoikeus maksimissaan 210,5 k-m2.
Tontille voidaan rakentaa myönnettävän rakennusluvan yhteydessä yhteinen laituri. Myöhemmässä vaiheessa voi ostaja halutessaan hakea poikkeamispäätöstä omalle laiturille.
Rakennuslupahakemuksessa on määräosalle suunniteltu rantasauna, jonka pinta-ala 20 k-m2.
Housing costs
- Verohallinto määrittää määräosan kiinteistöveron maapohjan ja rakennuksen osalta verohallinnon voimassa olevan käytännön ja laskukaavan mukaan.
- Sopijapuolet sitoutuvat vakuuttamaan kukin erikseen omistamansa ja hallitsemansa kiinteistön täydestä arvostaan vastuuosineen.
- Hallinnanjakosopimuksen mukaan kukin vastaa itsenäisesti rakentamansa ja omistamansa kiinteistön osan ja rakennuksen kustannuksista ja ylläpidosta. Yhteisalueiden ylläpitokustannukset yms. jaetaan kiinteistön omistusosuutta vastaavin murto-osin.
Price







