Karhutorpanpolku 11 B

Karhusaari, Helsinki | Omakotitalotontti

  • 469 000 €

    Velaton hinta

  • 802,0 m2

    Koko

Rakennuslupa myönnetty!

Uneksiiko uusi kotisi upeasta merenrantatontista, jossa yhdistyvät harvinainen rauhallisuus ja ainutlaatuinen merinäköala?
Karhutorpanpolku tarjoaa sinulle juuri tämän - mahdollisuuden rakentaa unelmiesi koti merellisessä ympäristössä!

Tämä tontti on oivallinen valinta niille, jotka haluavat yhdistää modernin asumisen luonnonläheiseen ja merelliseen ympäristöön. Poikkeamispäätös 210,5 neliömetrin kokoisen omakotitalon rakentamiselle tarjoaa ihanteelliset puitteet suunnitella ja rakentaa koti juuri omiin tarpeisiisi. Kun hyödynnät tämän harvinaisen mahdollisuuden, voit luoda täydellisen tilan perheesi arjen ja juhlan toteuttamiseen, merimaisemista nauttien.

Tämä ainutlaatuinen omakotitalotontti tarjoaa mahdollisuuden suunnitella juuri omien tarpeidesi ja mieltymystesi mukainen koti. Voit toteuttaa omia asumisen unelmiasi tai hyödyntää valmiiksi suunniteltua talomallia, joka on räätälöity täydellisesti ympäröivään maisemaan. Tässä kohteessa voit todella päästää mielikuvituksesi valloilleen ja toteuttaa henkilökohtaisen visiosi.
Valmiin luonnossuunnitelman ideana on moduulirakenteinen valmistalopakettina toteutettava omakotitalo, jonka runkovaihtoehdon voit valita oman mieltymyksesi mukaan. Lisäksi talon pohjaratkaisukonseptissa on useita vaihtoehtoja, joista voit suunnitella itsellesi parhaiten toimivan kokonaisuuden ja rakentaa koti jo valmiiksi pyydettyjen "avaimet käteen" talopakettitarjousten avulla.

Iso piha-alue ja oma ranta tuovat arkeen ripauksen ylellisyyttä ja antavat tilaisuuden nauttia merellisistä aktiviteeteista. Kuvittele aamu-uinnit tai illalliset auringonlaskussa omalla rannalla - Se on todellisuutta tässä ainutlaatuisessa kohteessa. Keskity rentoutumiseen ja anna luonnon ympäröidä sinut sekä vieraasi.

Karhutorpanpolun ainutlaatuinen sijainti yhdistää rauhallisen asuinalueen ja Helsingin palvelut. Alueelta löydät lähellä olevat kaupat, koulut ja päiväkodit, jotka tekevät arjen sujuvaksi ja mukavaksi. Julkiset liikenneyhteydet ovat toimivat, ja pääset helposti Helsingin keskustaan, kulttuurikohteisiin ja ostosmahdollisuuksiin. Tämä on koti, jossa laadukas elämänlaatu ja mukavuus yhdistyvät saumattomasti.

Tule paikan päälle ja ihastu tähän hurmaavaan merenrantatonttiin, jossa mahdollisuudet ovat rajattomat. Sinun uusi elämäsi, merimaisemilla ja ainutlaatuisilla puitteilla, odottaa!

Myynti ja esittelyt:

Katja Lampinen
Kiinteistönvälittäjä LKV, partner
Bo LKV Helsinki, Kruununhaka
p. 044 2433 744 I katja@bo.fi

Kiinnostaako tämä kohde?

Ota meihin yhteyttä tai jätä viesti

HUONEISTO

Hallintamuoto
Oma

KIINTEISTÖ- JA YHTIÖTIEDOT

Kiinteistötunnus
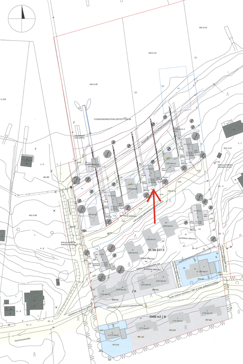
91-58-157-5
Tyyppi
Määräosa
Tontin omistus
Oma
Tontin koko
802,00 m²
Tontin tyyppi
Rantatontti
Tontin kuvaus
Koko kiinteistön pinta-ala on 11 148m². Määräosa B:n osuus maa-alueesta (91-58-157-5) on 802 m² ja vesialueesta (91-442-6-50) on 1080/7400.

Tontille myönnetty 15.12.2025 rakennuslupa erillispientalon rakentamiselle, jonka kerrosala on 243 k-m².
Panttikirjat
1 600 000,00 €
Lisätietoja rakennusoikeudesta
Tontille myönnetty rakennuslupa erillispientalon rakentamiselle, jonka kerrosala on 243 k-m².

Rakennusoikeus maksimissaan 210,5 k-m².

Tontille voidaan rakentaa myönnettävän rakennusluvan yhteydessä yhteinen laituri. Myöhemmässä vaiheessa voi ostaja halutessaan hakea poikkeamispäätöstä omalle laiturille.

MUITA TIETOJA

Rannan kuvaus
Kunnostettava hiekkaranta.
Vesistön nimi
Itämeri
Vapautuu
Heti
Lisätietoja
- Määräosan ostaja liittää omalla kustannuksellaan rakennuksensa tontilla tai sen lähellä kulkevaan kunnallistekniikkaan hallinnanjakosopimuksessa esitetyn rasitesopimuksen karttaliitteen mukaisesti.

- Hallinnanjakosopimuksen mukaan määräosan omistaja voi halutessaan lohkoa määräosansa tontiksi.

- Tonttiin kuuluu myös erillinen myytäviin määräosiin kuulumaton tiealue, jonka kautta tapahtuu kulku määräosille A-E. Sen omistus jää toistaiseksi myyjälle kunnes kaupunki lunastaa sen katualueeksi.

ASUMISKUSTANNUKSET

Muut maksut / lisätietoa maksuista
- Varainsiirtovero 3%

- Verohallinto määrittää määräosan kiinteistöveron maapohjan ja rakennuksen osalta verohallinnon voimassa olevan käytännön ja laskukaavan mukaan.

- Sopijapuolet sitoutuvat vakuuttamaan kukin erikseen omistamansa ja hallitsemansa kiinteistön täydestä arvostaan vastuuosineen.

- Hallinnanjakosopimuksen mukaan kukin vastaa itsenäisesti rakentamansa ja omistamansa kiinteistön osan ja rakennuksen kustannuksista ja ylläpidosta. Yhteisalueiden ylläpitokustannukset yms. jaetaan kiinteistön omistusosuutta vastaavin murto-osin.

HINTA

Myyntihinta
469 000,00 €
Velaton hinta
469 000,00 €
Karhutorpanpolku 11 B - kuva 1 Karhutorpanpolku 11 B - kuva 2 Karhutorpanpolku 11 B - kuva 3 Karhutorpanpolku 11 B - kuva 4 Karhutorpanpolku 11 B - kuva 5 Karhutorpanpolku 11 B - kuva 6 Karhutorpanpolku 11 B - kuva 7 Karhutorpanpolku 11 B - kuva 8 Karhutorpanpolku 11 B - kuva 9