Karhurannantie 18 N

Karhusaari, Helsinki | Omakotitalotontti

  • 229 000 €

    Velaton hinta

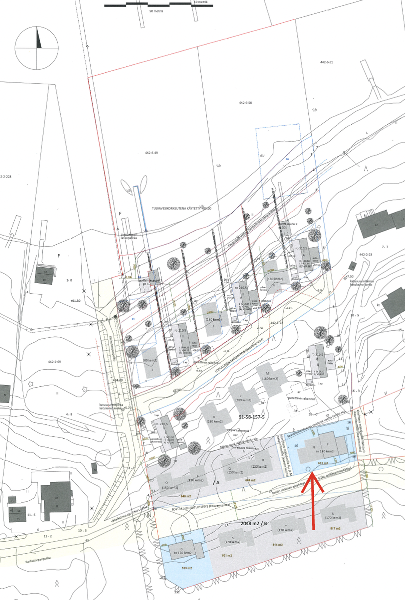
  • 613,0 m2

    Koko

Tervetuloa Karhusaareen, Helsingin kätkettyyn helmeen, joka tarjoaa uskomattoman merimiljöön ja mahdollisuuden unelmiesi omakotitalon rakentamiseen.

Tämä poikkeamispäätöksen mahdollistama tontti antaa vapauden rakentaa ainutlaatuinen 180 neliömetrin omakotitalo, jossa on tilaa jokaiselle perheenjäsenelle ja heidän tarpeilleen. Suunnittele koti, joka vastaa juuri sinun unelmiasi ja mahdollistaa arjen ylellisyyden. Tontilta avautuvat näkymät inspiroivat ja rauhoittavat, luoden täydellisen ympäristön jokapäiväiseen elämään ja rentoutumiseen.

Tämä ainutlaatuinen omakotitalotontti tarjoaa mahdollisuuden suunnitella juuri omien tarpeidesi ja mieltymystesi mukainen koti. Voit toteuttaa omia asumisen unelmiasi tai hyödyntää valmiiksi suunniteltua talomallia, joka on räätälöity täydellisesti ympäröivään maisemaan. Tässä kohteessa voit todella päästää mielikuvituksesi valloilleen ja toteuttaa henkilökohtaisen visiosi.
Valmiin luonnossuunnitelman ideana on moduulirakenteinen valmistalopakettina toteutettava omakotitalo, jonka runkovaihtoehdon voit valita oman mieltymyksesi mukaan. Lisäksi talon pohjaratkaisukonseptissa on useita vaihtoehtoja, joista voit suunnitella itsellesi parhaiten toimivan kokonaisuuden ja rakentaa koti jo valmiiksi pyydettyjen "avaimet käteen" talopakettitarjousten avulla.
Määräosa on sijoitettu rauhalliselle ja vehreälle alueelle, jonka merellinen ilmapiiri hurmaa heti ensikäynnillä. Pihapiiri tarjoaa tilaa oleskelulle, ja meren läheisyys tuo mukanaan raikkaan merituulen ja lumoavan maiseman. Pihalle on mahdollista suunnitella oma puutarha tai upea terassi, josta käsin voi ihailla aurinkoisia päiviä ja kauniita auringonlaskuja.

Tämän Karhusaaressa sijaitsevan määräosan ainutlaatuinen sijainti yhdistää rauhallisen asuinalueen ja Helsingin palvelut. Alueelta löydät lähellä olevat kaupat, koulut ja päiväkodit, jotka tekevät arjen sujuvaksi ja mukavaksi. Julkiset liikenneyhteydet ovat toimivat, ja pääset helposti Helsingin keskustaan, kulttuurikohteisiin ja ostosmahdollisuuksiin. Tämä on koti, jossa laadukas elämänlaatu ja mukavuus yhdistyvät saumattomasti.

Tartu tilaisuuteen ja tule tutustumaan tähän ainutlaatuiseen mahdollisuuteen – tämä tontti on avain unelmiesi kotiin.

Myynti ja esittelyt:

Katja Lampinen
Kiinteistönvälittäjä LKV, partner
Bo LKV Helsinki, Kruununhaka
p. 044 2433 744 I katja@bo.fi

Kiinnostaako tämä kohde?

Ota meihin yhteyttä tai jätä viesti

HUONEISTO

Hallintamuoto
Oma

KIINTEISTÖ- JA YHTIÖTIEDOT

Kiinteistötunnus
91-58-157-5
Tyyppi
Määräosa
Tontin omistus
Oma
Tontin koko
613,00 m²
Tontin tyyppi
Tasamaatontti
Tontin kuvaus
Koko kiinteistön pinta-ala on 11 148m². Määräosa N:n osuus maa-alueesta (91-58-157-5) on 613 m².

Tontille myönnetty poikkeamispäätös pientalon rakentamiselle.
Panttikirjat
1 600 000,00 €
Lisätietoja rakennusoikeudesta
Tontille myönnetty poikkeamispäätös II-kerroksisen pientalon rakentamiselle.

Rakennusoikeus maksimissaan 180 k-m².

MUITA TIETOJA

Vapautuu
Heti
Lisätietoja
- Määräosan ostaja liittää omalla kustannuksellaan rakennuksensa tontilla tai sen lähellä kulkevaan kunnallistekniikkaan hallinnanjakosopimuksessa esitetyn rasitesopimuksen karttaliitteen mukaisesti.

- Hallinnanjakosopimuksen mukaan määräosan omistaja voi halutessaan lohkoa määräosansa tontiksi.

- Ostajalla on oikeus rakentaa väliaikainen tieyhteys määräosalleen suunnitelmissa esitetyllä alueella.

- Tonttiin kuuluu myös erillinen myytäviin määräosiin kuulumaton tiealue, jonka kautta tapahtuu kulku määräosille A-E. Sen omistus jää toistaiseksi myyjälle kunnes kaupunki lunastaa sen katualueeksi.

ASUMISKUSTANNUKSET

Muut maksut / lisätietoa maksuista
- Varainsiirtovero 3%

- Verohallinto määrittää määräosan kiinteistöveron maapohjan ja rakennuksen osalta verohallinnon voimassa olevan käytännön ja laskukaavan mukaan.

- Sopijapuolet sitoutuvat vakuuttamaan kukin erikseen omistamansa ja hallitsemansa kiinteistön täydestä arvostaan vastuuosineen.

- Hallinnanjakosopimuksen mukaan kukin vastaa itsenäisesti rakentamansa ja omistamansa kiinteistön osan ja rakennuksen kustannuksista ja ylläpidosta. Yhteisalueiden ylläpitokustannukset yms. jaetaan kiinteistön omistusosuutta vastaavin murto-osin.

HINTA

Myyntihinta
229 000,00 €
Velaton hinta
229 000,00 €
Karhurannantie 18 N - kuva 1 Karhurannantie 18 N - kuva 2 Karhurannantie 18 N - kuva 3 Karhurannantie 18 N - kuva 4 Karhurannantie 18 N - kuva 5 Karhurannantie 18 N - kuva 6 Karhurannantie 18 N - kuva 7 Karhurannantie 18 N - kuva 8 Karhurannantie 18 N - kuva 9